Notice of Completion
Prescott Wastewater Treatment Plant Expansion
The Town of Prescott owns and operates the Prescott Wastewater Collection and Wastewater Treatment Plant. The wastewater system currently services all of the Town of Prescott, the industrial park in the Township of Edwardsburgh-Cardinal and developments in the Township of Augusta along the boundary with the Town. The Town of Prescott (Prescott) and the Township of Augusta (Augusta) have further investigated the needs of the existing Prescott Wastewater Collection System and Prescott Wastewater Treatment Plant to determine the upgrades that are required to maintain the system in operation and then to expand the system further to the west.
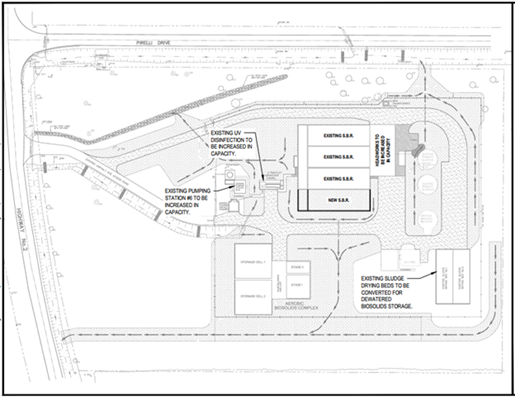
The scope for the expansion of the system will include the expansion of the WWTP, modifications to Sewage Pumping Station #5, two new Sewage Pumping Stations in Augusta along with the main trunk sewer and water transmission main.

The Town has planned this project through the Schedule “C” process of the Municipal Class Environmental Assessment (2023). As such, public and technical agency consultation played a key role in developing the study recommendations.
An Environmental Study Report (ESR) documenting the planning process undertaken, details of the study recommendations as well as potential impacts and mitigation measures, has been completed and is being made available for public review. Subject to comments received following this Notice and the receipt of approvals, the Town intends to proceed with construction of the recommended project as outlined in the ESR.
The ESR is available for review on the Town’s website (www.prescott.ca) and at the Town Hall (360 Dibble Street West) during regular hours of operation Monday to Friday.
Interested persons may provide written comments to our project team by January 15, 2026. All comments and concerns should be sent directly to the Town of Prescott at the 360 Dibble Street West, P.O. Box 160, Prescott, ON K0E 1T0, marmstrong@prescott.ca.
In addition, a request to the Minister of the Environment, Conservation and Parks for an order imposing additional conditions or requiring a comprehensive environmental assessment may be made on the grounds that the requested order may prevent, mitigate or remedy adverse impacts on constitutionally protected Aboriginal and treaty rights. Requests should include your full name and contact information.
Requests should specify what kind of order is being requested (additional conditions or a comprehensive environmental assessment), explain how an order may prevent, mitigate or remedy potential adverse impacts, and can include supporting information.
The request should be sent to:
Minister of the Environment, Conservation and Parks
Ministry of the Environment, Conservation and Parks
777 Bay Street, 5th Floor
Toronto ON M7A 2J3
minister.mecp@ontario.ca
and
Director, Environmental Assessment Branch
Ministry of the Environment, Conservation and Parks
135 St. Clair Ave. W, 1st Floor
Toronto ON, M4V 1P5
EABDirector@ontario.ca
Requests should also be sent to the Town of Prescott by mail or e-mail. Please visit the ministry’s website for more information on requests for orders under section 16 of the Environmental Assessment Act at: https://www.ontario.ca/page/classenvironmental-assessments-part-ii-order
All personal information included in your request – such as name, address, telephone number and property location – is collected, under the authority of section 30 of the Environmental Assessment Act and is collected and maintained for the purpose of creating a record that is available to the general public. As this information is collected for the purpose of a public record, the protection of personal information provided in the Freedom of Information and Protection of Privacy Act (FIPPA) does not apply (s.37). Personal information you submit will become part of a public record that is available to the general public unless you request that your personal information remain confidential.
ESR APPENDIX
DRAFT ENVIRONMENTAL STUDY REPORT
This Notice is Issued on December 15, 2025.